2010/11/5~7(金~日) 沖縄サンゴ移植ツアー (天気:曇り 水温:25度)          
     
  今年もいい場所を確保して、記念撮影!イベント参加人数は300人だそうです!凄かった!          
     
                       
     
   

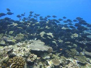
港の近くのポイント!かなりテーブルサンゴがキレイです。クマノミの種類も豊富!

         
     
    サンゴ植え付けの準備!サンゴの指輪をはめています。女の子ですね~。男性も真似していました。気持ち悪いですね~。          
     
                       
       
    植え付け予定地・・。              
     
  植え付け中・・。              
 
                       
   
    海の透明度はかなり良かったです!30mは見えていたのではないでしょうか              
 
                       
   
    昨年植え付けしたサンゴ!元気に育っていました。うれしい!!            
   
    毎年恒例の夜のパーティー!沖縄太鼓の演舞にはいつも感動しますね~。            
   
                       
   
                       
     
    国際通りと、市場をうろうろ・・。お土産買って、ユタの占い受けて、豚と記念撮影して、沖縄そば食べて・・・。沖縄観光スタンダードコースを満喫してきました!            
   
 
毎年恒例のサンゴ植え付けツアー!天気にはあまり恵まれませんでしたが、無事に植え付け任務完了!
去年のサンゴの成長も見ることが出来、さらに植えつけたサンゴに魚が群れていたことに、喜びも感じることが出起ました!パーティーでは、今年も迫力ある沖縄太鼓も見ることが出来ました。来年も企画しますので、是非興味のある方は
ご参加くださいね~。今年も3日間ありがとうございました~。