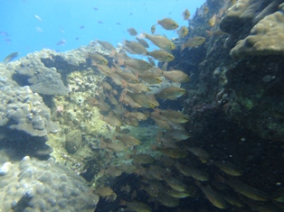
2012/10/13(土) 田子ボート (天気:晴れ 水温25度 透明度15m)  
   
           
   
           
   
  やっぱり、田子の魚影は凄い!ムレハタもいました!!