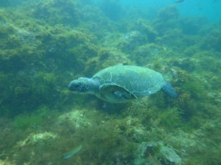
2013/8/25(日) 川奈ビーチ (天気:雨 水温:26度 透明度:15m)